BBCBrasil.com
70 anos 1938-2008
Español
Português para a África
Árabe
Chinês
Russo
Inglês
Outras línguas
Atualizado às: 16 de setembro, 2004 - 01h30 GMT (22h30 Brasília)
Envie por e-mailVersão para impressão
Ivan chega à costa dos Estados Unidos e mata dois

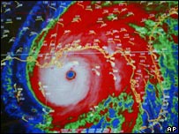
O furacão Ivan em imagem de satélite
Imagem de satélite mostra o olho do furacão se encaminhando para o litoral do Estado do Alabama
Pelo menos duas pessoas morreram nesta quarta-feira no noroeste do Estado da Flórida, nos Estados Unidos, em tornados associados à chegada do furacão Ivan à região.

O tempo na faixa costeira do Golfo do México entre a cidade de Nova Orleans, no Estado da Louisiana, e a região das cidades de Pensacola e Panama City, na Flórida, piorou progressivamente nas últimas horas, anunciando o furacão.

Um alerta foi emitido para toda a região, inclusive a cidade de Nova Orleans, e ordens de saída dos moradores foram emitidas – embora muitos tenham optado por ficar.

Segundo o Centro Nacional de Furacões dos Estados Unidos, o olho do Ivan, que tem ventos de mais de 217 km/h, deve chegar ao continente nas próximas horas.

Dois milhões

Acredita-se que cerca de dois milhões de pessoas em toda a região afetada tenham sido forçadas a deixar suas casas, temendo os efeitos do Ivan.

Em Mobile, na costa do Estado do Alabama – perto de onde os meteorologistas prevêem que o olho da tempestade venha a atingir a terra firme –, emissoras de TV mostraram imagens de inundações se formando já às 18h, hora de Brasília.

O Centro Nacional de Furacões informou que, por volta das 21h, hora de Brasília, o Ivan estava a cerca de 137 km ao sul da costa do Alabama, viajando a aproximadamente 19 km/h rumo ao continente.

Em sua passagem por ilhas do Caribe nos últimos dias, o Ivan deixou mais de 60 mortos.

O furacão é o terceiro a atingir a Flórida no período de um mês, depois do Charley (em agosto) e do Frances (no início deste mês).

Convenção

Em Nova Orleans, uma cidade que deve ser poupada dos piores efeitos do furacão, a prefeitura pediu que cerca de 1,3 milhões de pessoas deixassem suas casas.

News image
Muitas pessoas decidiram permanecer em Nova Orleans, apesar dos pedidos das autoridades

A cidade, além de ficar abaixo do nível do mar, é cercada por um lago, o Rio Mississipi e o Golfo do México, o que aumenta as chances de grandes inundações.

A maioria dos moradores deixou a cidade na segunda-feira e na terça-feira, mas, até o anoitecer desta quarta-feira, imagens de TV ainda mostravam pessoas no famoso bairro francês da cidade.

De acordo com a rede de TV local WDSU, muitas pessoas que estavam em Nova Orleans participando da Convenção do Conselho Nacional de Segurança tiveram que ficar na região por causa de cancelamento de vôos.

A prefeitura impôs um toque de recolher a partir das duas da tarde, hora local (16h, hora de Brasília) e ameaçou prender as pessoas que forem encontradas perambulando pelas ruas.

Jeanne

No Caribe, a tempestade tropical Jeanne deixou pelo menos dois mortos em sua passagem por Porto Rico.

Nesta terça-feira, as Bahamas – país castigado pelo furacão Frances, no início deste mês – emitiu um alerta de furacão para partes do país, prevendo a chegada do Ivan nas próximas horas.

Às 21h, hora de Brasília, a tempestade tropical estava a cerca de 145 km a leste da República Dominicana, seguindo a aproximadamente 17 km/h rumo oeste.

De acordo com o Centro Nacional de Furacões, a Jeanne, com ventos que no momento superam os 105 km/h, pode se transformar num furacão já nesta quinta-feira.

Em imagens
Veja como os cubanos estão se preparando para o furacão Ivan.
O furacão Ivan, em imagem de satéliteUm atrás do outro
Fase 'hiperativa' de furacões pode durar anos, dizem cientistas.
Furacão IvanImagens do Ivan
Veja fotos do furacão e do prejuízo causado por ele.
NOTÍCIAS RELACIONADAS
LINKS EXTERNOS
A BBC não se responsabiliza pelo conteúdo dos links externos indicados.
ÚLTIMAS NOTÍCIAS
Envie por e-mailVersão para impressão
Tempo|Sobre a BBC|Expediente|Newsletter
BBC Copyright Logo^^ Início da página
Primeira Página|Ciência & Saúde|Cultura & Entretenimento|Vídeo & Áudio|Fotos|Especial|Interatividade|Aprenda inglês
BBC News >> | BBC Sport >> | BBC Weather >> | BBC World Service >> | BBC Languages >>
Ajuda|Fale com a gente|Notícias em 32 línguas|Privacidade