BBCBrasil.com
70 anos 1938-2008
Español
Português para a África
Árabe
Chinês
Russo
Inglês
Outras línguas
Atualizado às: 23 de setembro, 2005 - 16h14 GMT (13h14 Brasília)
Envie por e-mailVersão para impressão
Governo do Texas se prepara para 'evento catastrófico'
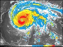
Rita
Texas pediu ao governo federal para colocar tropas de prontidão
O governo do Texas, Rick Perry, anunciou, nesta sexta-feira, que está esperando um "evento catastrófico" à medida que o furacão Rita se aproxima da costa do Golfo do México.

Segundo novas estimativas das autoridades locais, 5,2 milhões de pessoas serão afetadas pelo furacão, 6 mil casas deverão ser destruídas e 16 mil pessoas ficarão desabrigadas.

Perry também disse que prevê a inundação total de Port Arthur, uma cidade costeira de cerca de 58 mil moradores. Às 11h, hora local (12h em Brasília), o olho do Rita esta a cerca de 340 km de Port Arthur.

O presidente americano, George W. Bush, deve ir à região nesta sexta-feira para verificar os preparativos para a chegada do furacão.

Ônibus

Uma das maiores evacuações em massa da história americana está sendo realizada no Texas, com 2 milhões de pessoas se dirigindo para o interior enquanto a região da costa do Golfo do México se prepara para a chegada do furacão.

Algumas das cidades que estão na rota do furacão foram quase completamente evacuadas, como Galveston, que deve ser o local onde o Rita deve chegar à terra

Um ônibus levando idosos que haviam sido retirados das áreas que estão na rota do Rita pegou fogo nesta sexta-feira em Dallas, matando cerca de 20 pessoas.

O acidente provocou a paralisação do tráfego na rodovia interestadual 45, que já enfrentava graves congestionamentos por conta do fluxo de veículos com moradores deixando a região.

Segundo declarações de um porta-voz da polícia local à agência de notícias Associated Press, o fogo pode ter sido provocado pelas garrafas de oxigênio usadas por alguns dos 45 idosos que estavam no ônibus.

Resgate

As autoridades do Texas pediram ao governo federal para colocar dez mil soldados de prontidão para ajudarem nos trabalhos de resgate que podem ser necessários depois da passagem do furacão Rita.

O cônsul brasileiro em Houston, Carlos Alberto Azevedo Pimentel, disse que as instalações do consulado já foram fechadas e que ele se dirige para a cidade de Dallas, segundo a enviada especial da BBC Brasil ao Texas, Denize Bacoccina.

As autoridades americanas disponibilizaram uma grande frota de ônibus para retirar das áreas mais vulneráveis pessoas que não têm transporte.

Foram armazenados suprimentos de água e alimentos, e a Guarda Nacional está em estado de alerta.

Produzindo ventos de 217 km/h, Rita foi rebaixada da categoria cinco (a mais alta da escala Saffir-Simpson) para a quatro – a mesma em que estava o Katrina quando atingiu a costa do Golfo do México há cerca de três semanas.

Uma mudança de curso em relação à trajetória inicialmente projetada indica que Rita poderia poupar Houston e Galveston de um impacto direto.

De acordo com as novas previsões do Centro Nacional de Furacões, a tempestade está se deslocando no sentido oeste-noroeste e o centro de Rita deve se aproximar do sudoeste da Louisiana e do nordeste da costa do Texas nesta sexta-feira à noite.


66Furacão Rita
Milhares deixam Houston antes da tempestade.
66Furacões
Leia mais sobre as tempestades e os estragos nos EUA.
NOTÍCIAS RELACIONADAS
LINKS EXTERNOS
A BBC não se responsabiliza pelo conteúdo dos links externos indicados.
ÚLTIMAS NOTÍCIAS
Envie por e-mailVersão para impressão
Tempo|Sobre a BBC|Expediente|Newsletter
BBC Copyright Logo^^ Início da página
Primeira Página|Ciência & Saúde|Cultura & Entretenimento|Vídeo & Áudio|Fotos|Especial|Interatividade|Aprenda inglês
BBC News >> | BBC Sport >> | BBC Weather >> | BBC World Service >> | BBC Languages >>
Ajuda|Fale com a gente|Notícias em 32 línguas|Privacidade