By Jonathan Amos Science reporter, BBC News |
  The robot plane can stay aloft for about an hour on battery power
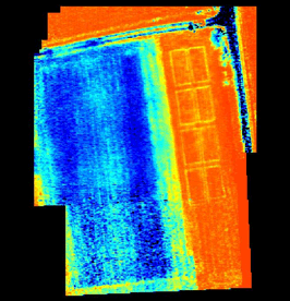
The first flights have been conducted of an autonomous unmanned aerial vehicle (UAV) to monitor UK farmland. The robot plane flew over fields in England and Wales to map the nitrogen levels in soil, to determine whether fertiliser applications were needed. The UAV missions were part of a joint research project between tech firm Qinetiq and Aberystwyth University. Pilotless vehicles are likely to become an increasingly common sight if the airspace can be freed up. "You don't need to put pilots in a vehicle where you are only collecting data, providing you can do it safely," said Jonathan Webber, the programme leader of Qinetiq UAV Services. "That's going to drive savings in weight, which will drive savings in fuel costs. So where you see normal routine data-gathering operations by manned aviation today, I would see that gradually being transferred over to UAVs in the next 20 years." 'Green' map British skies, though, are notoriously congested and the Civil Aviation Authority has yet to agree how everyday, autonomous, unmanned flights can be fitted in among the busy air corridors. Nonetheless, the Qinetiq-Aberystwyth project gives a glimpse of the UAV future. It used a small plane - with a wingspan of 2.5m and weighing less than 7kg - to make field maps near Hereford and Aberporth.  | NDVI maps can help farmers to decide where to put their next fertiliser application 
|
Battery-powered and carrying an optics and downlink pod under each wing, the vehicle swept back and forth across farmland on missions that could last just over the hour. "Control of the vehicle is completely autonomous, pre-programmed," said Mr Webber. "It has a back-up so we can take control of the vehicle if we need to and fly it manually." The data sent down from the UAV was used to build up a Normalised Difference Vegetation Index (NDVI) for the surveyed land. "It tells you the difference between 'green crops' that are photosynthesising and bare ground," explained Alan Gay, a senior research scientist at Aberystwyth University "The more dense the crop, the less fertiliser you need to apply." The information is useful because over-application of a fertiliser can result in pollution when it runs off into water courses; and, of course, under-application will result in lower than anticipated yields. "We know you can get good maps of this sort from manned aircraft but it's so difficult to get an aircraft to the field you need it in, at the time you need it there; and it's also very expensive," said Mr Gay. "UAVs can operate much more flexibly." Data-driven Robot planes are becoming well established above the battlefield, monitoring enemy positions and even firing on enemy targets; but their civil and commercial applications are also on the rise. US meteorologists are flying them into storm clouds; and Italian volcanologists are studying active volcanoes from the safety of their aerial robots. Mr Gay said the UK team would like next to use remote sensing to gather vegetation information on upland farms, to advise livestock-holders where best to graze their sheep. "We can see UAVs extending a long way because we know that it's useful for monitoring forestry and detecting disease in crops," he said. "We can see quite a sea-change in farming, to it being based on real measurements rather than being based on some guesswork." Jonathan.Amos-INTERNET@bbc.co.uk
|
Bookmark with:
What are these?